ANGLERS釣船予約
愛晃丸フィッシングの釣果一覧
0件の釣果
船長・仲乗りの釣果のみ
87件の釣果
船長・仲乗りの釣果のみ
ヒレナガカンパチ
1ヶ月以内
1匹
67cm
タイラバ・SLJ・アジ呑ませ釣りにて ヒレナガカンパチ 67cm オオモンハタ 46〜49cm アカハタ 39cmを頭に18匹 その他 ガシラなどが釣れました。 浅海養殖場カセでは青物が上がり始めてます。今後に期待ですね♪
愛晃丸フィッシング
2025年11月29日
06:00
1/3
ヒレナガカンパチ
2025年11月29日
06:00
1匹
67cm
気象データ
快晴
西北西
4.2m/s
15°C
長潮
愛晃丸フィッシング
タイラバ・SLJ・アジ呑ませ釣りにて ヒレナガカンパチ 67cm オオモンハタ 46〜49cm アカハタ 39cmを頭に18匹 その他 ガシラなどが釣れました。 浅海養殖場カセでは青物が上がり始めてます。今後に期待ですね♪
ブリ
1ヶ月以内
6匹
90cm
ジギングにて ブリ6本 オオモンハタ、アオハタ、アヤメカサゴ、アカハタなどが釣れました。 前半は突然のブリラッシュに始まりクーラーにこれ以上釣ると入りそうにないので狙う魚種を変更しましたが後半戦は潮の動きが悪くなり苦戦しましたが、 良型のオオモンハタやアオハタなども混じりボチボチの釣果になりました。
愛晃丸フィッシング
2025年11月23日
06:00
1/3
ブリ
2025年11月23日
06:00
6匹
90cm
気象データ
快晴
北北東
2.2m/s
12°C
中潮
愛晃丸フィッシング
ジギングにて ブリ6本 オオモンハタ、アオハタ、アヤメカサゴ、アカハタなどが釣れました。 前半は突然のブリラッシュに始まりクーラーにこれ以上釣ると入りそうにないので狙う魚種を変更しましたが後半戦は潮の動きが悪くなり苦戦しましたが、 良型のオオモンハタやアオハタなども混じりボチボチの釣果になりました。
オオモンハタ
1ヶ月以内
4匹
53cm
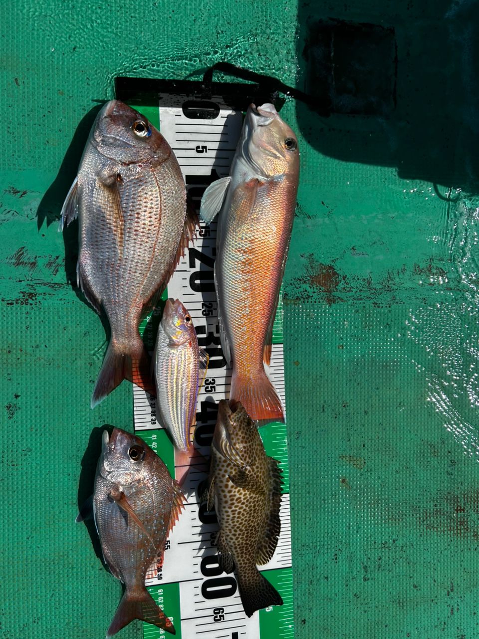
アジ呑ませ&タイラバにて、 オオモンハタ53cm アオハタ47cm ブリ、アカハタ、アザハタ、赤ヤガラ、オジサン、サバなどがつれました。 アジ呑ませでは良型サイズが釣れてます。
愛晃丸フィッシング
2025年11月23日
06:00
1/3
オオモンハタ
2025年11月23日
06:00
4匹
53cm
気象データ
快晴
北北東
2.2m/s
12°C
中潮
愛晃丸フィッシング
アジ呑ませ&タイラバにて、 オオモンハタ53cm アオハタ47cm ブリ、アカハタ、アザハタ、赤ヤガラ、オジサン、サバなどがつれました。 アジ呑ませでは良型サイズが釣れてます。
オオモンハタ
1ヶ月以内
4匹
48cm
アジ呑ませ釣りにてmax48cmを筆頭に4匹 小クエなどが釣れました。
愛晃丸フィッシング
2025年11月21日
07:30
1/1
オオモンハタ
2025年11月21日
07:30
4匹
48cm
気象データ
快晴
北北西
4.4m/s
11°C
大潮
愛晃丸フィッシング
アジ呑ませ釣りにてmax48cmを筆頭に4匹 小クエなどが釣れました。
オオモンハタ
1ヶ月以上前
2匹
52cm
良型オオモンハタを アジ呑ませ釣りにて釣りました。
愛晃丸フィッシング
2025年11月16日
10:30
1/1
オオモンハタ
2025年11月16日
10:30
2匹
52cm
気象データ
快晴
北東
2.5m/s
17°C
中潮
愛晃丸フィッシング
良型オオモンハタを アジ呑ませ釣りにて釣りました。
アオリイカ
1ヶ月以上前
2匹
770g
夕方秋イカ偵察にてティップランにて釣りました。
愛晃丸フィッシング
2025年11月16日
04:00
1/2
アオリイカ
2025年11月16日
04:00
2匹
気象データ
快晴
北北東
2.8m/s
13°C
中潮
愛晃丸フィッシング
夕方秋イカ偵察にてティップランにて釣りました。
オオモンハタ
1ヶ月以上前
2匹
44cm
午前中タイラバ&アジ呑ませ釣りにて良型オオモンハタ、スジアラ、アカハタが釣れました。 夕方から1時間ほど秋イカ偵察で 770g・560gのアオリイカをテップランにて釣りました。
愛晃丸フィッシング
2025年11月15日
07:00
1/3
オオモンハタ
2025年11月15日
07:00
2匹
44cm
気象データ
快晴
北北東
1.1m/s
19°C
愛晃丸フィッシング
午前中タイラバ&アジ呑ませ釣りにて良型オオモンハタ、スジアラ、アカハタが釣れました。 夕方から1時間ほど秋イカ偵察で 770g・560gのアオリイカをテップランにて釣りました。
アカハタ
1ヶ月以上前
1匹
兵庫県からお越しの3人グループ様 タイラバ便にて出船 前半釣果伸びず後半は木枯らし1号の爆風吹く中頑張っていただき、アカハタ・オオモンハタ・オジサン・ユカタハタ・オニカサゴ・ヤガラなどが釣れクーラー満タンにする事がでしました。 ご乗船ありがとうございました😀
愛晃丸フィッシング
2025年11月3日
06:00
1/2
アカハタ
2025年11月3日
06:00
1匹
気象データ
快晴
北北西
6.1m/s
16°C
大潮
愛晃丸フィッシング
兵庫県からお越しの3人グループ様 タイラバ便にて出船 前半釣果伸びず後半は木枯らし1号の爆風吹く中頑張っていただき、アカハタ・オオモンハタ・オジサン・ユカタハタ・オニカサゴ・ヤガラなどが釣れクーラー満タンにする事がでしました。 ご乗船ありがとうございました😀
シロアマダイ
1ヶ月以上前
1匹
39cm
兵庫県からのお客様でした。 湾内水谷沖カカリ釣りにて 良型シロアマダイ・イトヨリ・キビレが釣れました。 前半は少し活性が良かったのですが昼前頃から活性が悪くなり14時に早上がりされました。 ご乗船ありがとうございました。
愛晃丸フィッシング
2025年11月2日
05:30
1/1
シロアマダイ
2025年11月2日
05:30
1匹
39cm
気象データ
晴れ
北西
4.2m/s
19°C
中潮
愛晃丸フィッシング
兵庫県からのお客様でした。 湾内水谷沖カカリ釣りにて 良型シロアマダイ・イトヨリ・キビレが釣れました。 前半は少し活性が良かったのですが昼前頃から活性が悪くなり14時に早上がりされました。 ご乗船ありがとうございました。
アカハタ
1ヶ月以上前
6匹
京都からお越しの串本カセ釣り初挑戦のお客様がご乗船されました。 普段は波止場での釣りがメインのようでサバの餌取りなどで苦戦されてて釣果がなく午後から船頭が少し時間が空いてたので本船で根魚釣りにお誘いしました。 結果アカハタ・アオハタ・オオモンハタなどが釣れお客様も喜ばれてなによりでした😀
愛晃丸フィッシング
2025年11月2日
12:00
1/3
アカハタ
2025年11月2日
12:00
6匹
気象データ
小雨
北西
4.4m/s
19°C
愛晃丸フィッシング
京都からお越しの串本カセ釣り初挑戦のお客様がご乗船されました。 普段は波止場での釣りがメインのようでサバの餌取りなどで苦戦されてて釣果がなく午後から船頭が少し時間が空いてたので本船で根魚釣りにお誘いしました。 結果アカハタ・アオハタ・オオモンハタなどが釣れお客様も喜ばれてなによりでした😀
アオリイカ
1ヶ月以上前
1匹
760g
午前中、アジ呑ませ根魚便で出船。 良型のアカハタ・バラハタ・ツムブリなどが釣れました。 夕方から2時間ほどティップランで秋イカ調査。 型は良かったのですが数上がらずでした😭
愛晃丸フィッシング
2025年10月29日
06:00
1/3
アオリイカ
2025年10月29日
06:00
1匹
気象データ
快晴
東北東
1.7m/s
17°C
小潮
愛晃丸フィッシング
午前中、アジ呑ませ根魚便で出船。 良型のアカハタ・バラハタ・ツムブリなどが釣れました。 夕方から2時間ほどティップランで秋イカ調査。 型は良かったのですが数上がらずでした😭
アオリイカ
1ヶ月以上前
8匹
午前中、秋イカ偵察で活けアジで浮釣りしましたがイマイチだったので急遽、残りの活けアジを使って呑ませ釣り! 良型のアカハタ・オオモンハタ・バラハタが釣れました。 午後から2時間ほど秋イカのリベンジ。 今回はティップランに変更したところ当たりが連発しました。 平均300g〜400gがメインでした。
愛晃丸フィッシング
2025年10月28日
08:30
1/2
アオリイカ
2025年10月28日
08:30
8匹
気象データ
晴れ
北北西
5.8m/s
17°C
小潮
愛晃丸フィッシング
午前中、秋イカ偵察で活けアジで浮釣りしましたがイマイチだったので急遽、残りの活けアジを使って呑ませ釣り! 良型のアカハタ・オオモンハタ・バラハタが釣れました。 午後から2時間ほど秋イカのリベンジ。 今回はティップランに変更したところ当たりが連発しました。 平均300g〜400gがメインでした。
シオ
1ヶ月以上前
1匹
湾内カセでの釣果です。 ヒラスズキ・シオ・コロダイ・ツバスなどが釣れました。 湾内、シオ、ツバスが回っていています。 釣れた小アジを呑ませで使ってシオ、ツバスが釣られました。 今年は湾内のブリが釣れていないので串本カセ界隈が活気なくで悲しいです😭
愛晃丸フィッシング
2025年10月18日
05:30
1/3
シオ
2025年10月18日
05:30
1匹
気象データ
快晴
東
1.7m/s
25°C
中潮
愛晃丸フィッシング
湾内カセでの釣果です。 ヒラスズキ・シオ・コロダイ・ツバスなどが釣れました。 湾内、シオ、ツバスが回っていています。 釣れた小アジを呑ませで使ってシオ、ツバスが釣られました。 今年は湾内のブリが釣れていないので串本カセ界隈が活気なくで悲しいです😭
アカハタ
1ヶ月以上前
1匹
湾内外のカセ・カカリ釣りはここ最近イマイチですが、タイラバ・根魚乗合便はボチボチ釣れています。
愛晃丸フィッシング
2025年10月12日
06:00
1/2
アカハタ
2025年10月12日
06:00
1匹
気象データ
小雨
北東
5.8m/s
23°C
中潮
愛晃丸フィッシング
湾内外のカセ・カカリ釣りはここ最近イマイチですが、タイラバ・根魚乗合便はボチボチ釣れています。
アカハタ
1ヶ月以上前
1匹
会社の慰安旅行での釣り体験でご乗船していただきました。 釣り初心者さんがほとんどでしたが船酔いもなく釣りを楽しんでいただきました。 ご乗船ありがとうございました😀
愛晃丸フィッシング
2025年9月17日
06:00
1/3
アカハタ
2025年9月17日
06:00
1匹
気象データ
小雨
西
2.2m/s
26°C
愛晃丸フィッシング
会社の慰安旅行での釣り体験でご乗船していただきました。 釣り初心者さんがほとんどでしたが船酔いもなく釣りを楽しんでいただきました。 ご乗船ありがとうございました😀
アカハタ
1ヶ月以上前
10匹
タイラバ・SLJ便にて出船しました。 風が強かったので風裏でポイントでの釣行になりました。
愛晃丸フィッシング
2025年9月15日
06:30
1/3
アカハタ
2025年9月15日
06:30
10匹
気象データ
快晴
西北西
2.5m/s
26°C
小潮
愛晃丸フィッシング
タイラバ・SLJ便にて出船しました。 風が強かったので風裏でポイントでの釣行になりました。
アカハタ
1ヶ月以上前
1匹
タイラバ・SLJ乗合便での釣果です。 前日の天候の影響でウネリが残っていましたがボチボチ釣れました。
愛晃丸フィッシング
2025年9月14日
16:08
1/3
アカハタ
2025年9月14日
16:08
1匹
気象データ
小雨
西南西
4.7m/s
29°C
愛晃丸フィッシング
タイラバ・SLJ乗合便での釣果です。 前日の天候の影響でウネリが残っていましたがボチボチ釣れました。
シロアマダイ
1ヶ月以上前
1匹
40cm
タイラバにて、シロアマダイ・オオモンハタ・真鯛が釣れました。 ここ最近、湾内餌釣りはサバの餌取りが酷くて釣果がイマイチですがタイラバ・根魚便はボチボチ釣れてます。
愛晃丸フィッシング
2025年9月6日
06:00
1/2
シロアマダイ
2025年9月6日
06:00
1匹
40cm
気象データ
小雨
南東
3.3m/s
29°C
大潮
愛晃丸フィッシング
タイラバにて、シロアマダイ・オオモンハタ・真鯛が釣れました。 ここ最近、湾内餌釣りはサバの餌取りが酷くて釣果がイマイチですがタイラバ・根魚便はボチボチ釣れてます。
オオモンハタ
1ヶ月以上前
2匹
44cm
湾内サバの餌取りが多いのでタイラバで良型のオオモンハタが釣れました。
愛晃丸フィッシング
2025年9月6日
10:00
1/1
オオモンハタ
2025年9月6日
10:00
2匹
44cm
気象データ
快晴
東
2.2m/s
28°C
大潮
愛晃丸フィッシング
湾内サバの餌取りが多いのでタイラバで良型のオオモンハタが釣れました。
アカハタ
1ヶ月以上前
1匹
いつもお世話になっている船舶エンジンのメカニックさん達とタイラバ・根魚狙いで遊びに行って来ました。 良型シロアマダイ、アカハタ、ヒメダイなどが釣れました。
愛晃丸フィッシング
2025年8月30日
08:00
1/3
アカハタ
2025年8月30日
08:00
1匹
気象データ
快晴
西
3.9m/s
29°C
愛晃丸フィッシング
いつもお世話になっている船舶エンジンのメカニックさん達とタイラバ・根魚狙いで遊びに行って来ました。 良型シロアマダイ、アカハタ、ヒメダイなどが釣れました。
ブリ
1ヶ月以上前
2匹
イワシフカセ釣りでの釣果です。
愛晃丸フィッシング
2025年8月16日
06:00
1/1
ブリ
2025年8月16日
06:00
2匹
気象データ
小雨
南西
1.9m/s
27°C
小潮
愛晃丸フィッシング
イワシフカセ釣りでの釣果です。
シロアマダイ
1ヶ月以上前
1匹
シロアマダイ&タイラバ便 シロアマダイ、良型アオハタ、アカハタ、イトヨリなどが釣れました。 気温が非常に高いので熱中症予防で多めの飲料や日除け対策をお勧めします。
愛晃丸フィッシング
2025年8月3日
05:30
1/3
シロアマダイ
2025年8月3日
05:30
1匹
気象データ
快晴
西南西
3.1m/s
31°C
長潮
愛晃丸フィッシング
シロアマダイ&タイラバ便 シロアマダイ、良型アオハタ、アカハタ、イトヨリなどが釣れました。 気温が非常に高いので熱中症予防で多めの飲料や日除け対策をお勧めします。
シロアマダイ
1ヶ月以上前
1匹
シロアマダイに狙いでご乗船。 後半戦は少し風が強くなりましたが、良型シロアマダイやイトヨリなどが良い感じに釣れました。
愛晃丸フィッシング
2025年7月26日
05:30
1/3
シロアマダイ
2025年7月26日
05:30
1匹
気象データ
小雨
東南東
5m/s
29°C
大潮
愛晃丸フィッシング
シロアマダイに狙いでご乗船。 後半戦は少し風が強くなりましたが、良型シロアマダイやイトヨリなどが良い感じに釣れました。
カワハギ
1ヶ月以上前
1匹
湾外ポイント・湾内戸島崎沖ポイントにての釣果です。 ウネリがあり厳しい条件で釣果伸びず残念な結果になりました😭
愛晃丸フィッシング
2025年7月25日
16:16
1/2
カワハギ
2025年7月25日
16:16
1匹
気象データ
小雨
東南東
4.7m/s
29°C
大潮
愛晃丸フィッシング
湾外ポイント・湾内戸島崎沖ポイントにての釣果です。 ウネリがあり厳しい条件で釣果伸びず残念な結果になりました😭
もっと見る
釣船予約
関西地方
和歌山県
串本
愛晃丸フィッシング
最新釣果